Marked Individual CY-Vada

: CY-Vada X
: X
: X

Sex: unknown

X

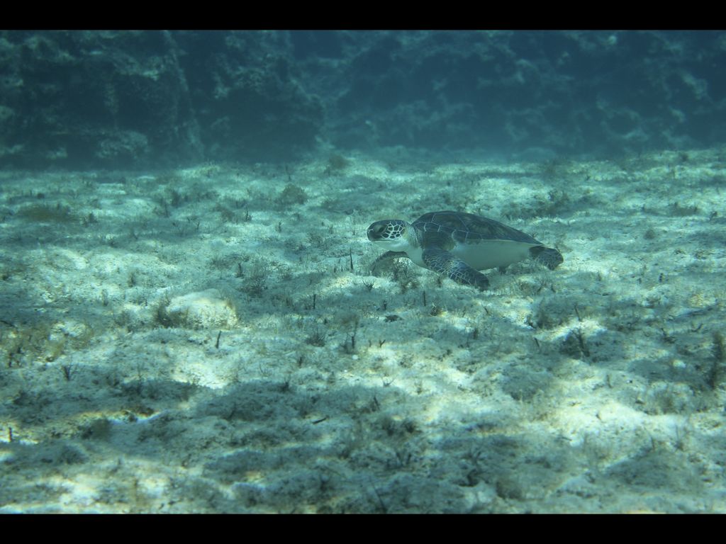
Taxonomy: Chelonia mydas

Date of Birth:

This field takes a date in the ISO 8601 standard format.

Leave blank if unknown.

Date of Death:

This field takes a date in the ISO 8601 standard format.

Leave blank if unknown.

Alternate ID:

e536f214-13b5-48b7-9559-2f9e68291384
e536f214-13b5-48b7-9559-2f9e68291384
e536f214-13b5-48b7-9559-2f9e68291384
e536f214-13b5-48b7-9559-2f9e68291384
e536f214-13b5-48b7-9559-2f9e68291384


Social Group Memberships



Sighting count: 21

Encounter(s) (not all may be currently visible) & Biological Samples

No biological samples have been added for this individual.



Social Relationships



Co-occurrences



Mapping

No GPS data is available for mapping.


 



Collaborating Researchers

Daniel Kistler

Affiliation: Project Xenios

Web Site: www.os-xenios.com