Marked Individual INNLP0117EI

: INNLP0117EI X
: X
: X

Sex: unknown

X

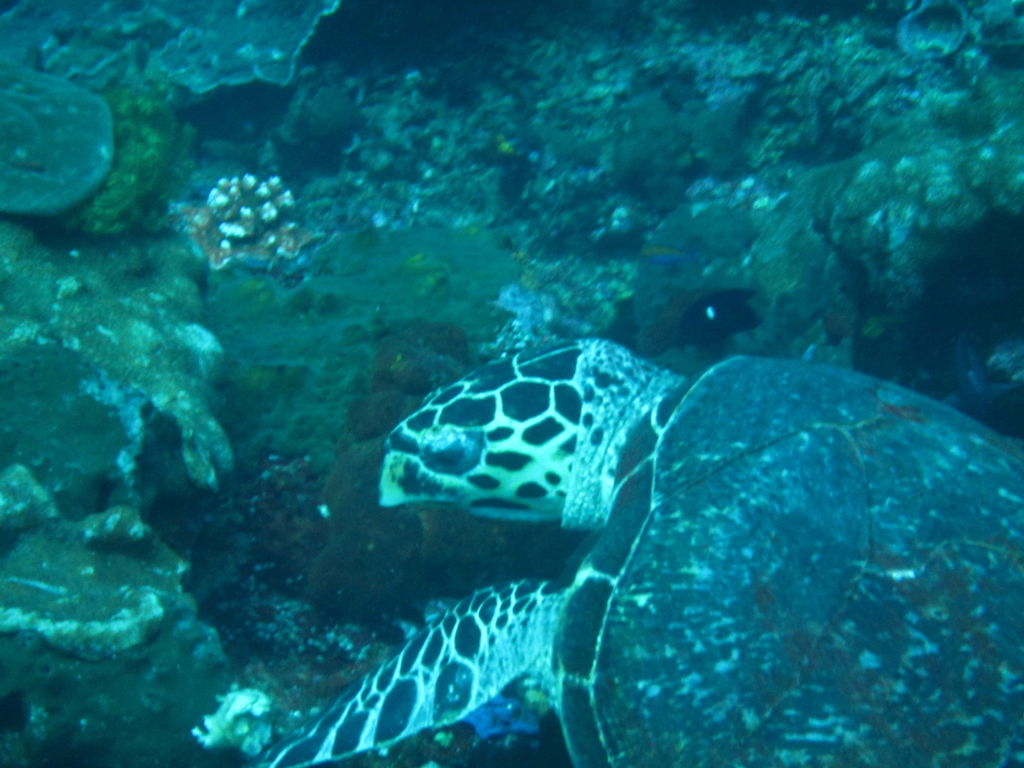
Taxonomy: Eretmochelys imbricata

Date of Birth:

This field takes a date in the ISO 8601 standard format.

Leave blank if unknown.

Date of Death:

This field takes a date in the ISO 8601 standard format.

Leave blank if unknown.

Alternate ID:

ac38d921-b73f-4f3d-bde3-44482709b3f9
ac38d921-b73f-4f3d-bde3-44482709b3f9
ac38d921-b73f-4f3d-bde3-44482709b3f9
ac38d921-b73f-4f3d-bde3-44482709b3f9
ac38d921-b73f-4f3d-bde3-44482709b3f9


Social Group Memberships



Sighting count: 6

Encounter(s) (not all may be currently visible) & Biological Samples

No biological samples have been added for this individual.



Social Relationships



Co-occurrences



Mapping

No GPS data is available for mapping.


 



Collaborating Researchers

Universitas Udayana

Affiliation: MMF

Web Site: UNUD

MMF Indonesia

Affiliation: MMF

Web Site: E.Germanov

Janis Argeswara

Affiliation: MMF

Web Site: argeswaraj