Marked Individual CY-Ikarus

: CY-Ikarus X
: X
: X

Sex: unknown

X

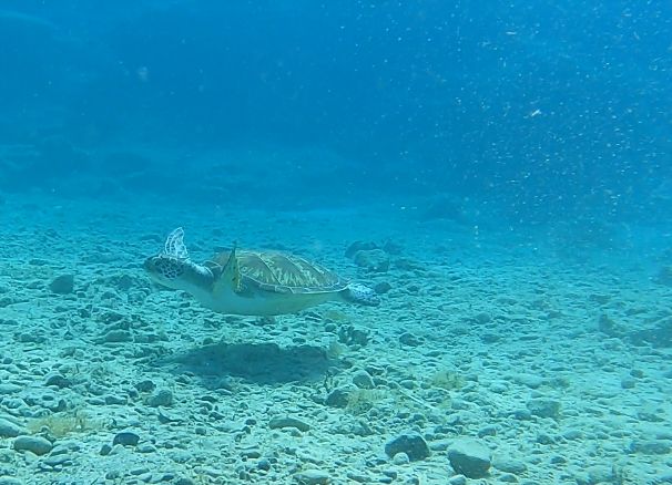
Taxonomy: Chelonia mydas

Date of Birth:

This field takes a date in the ISO 8601 standard format.

Leave blank if unknown.

Date of Death:

This field takes a date in the ISO 8601 standard format.

Leave blank if unknown.

Alternate ID:

958251eb-5e89-4cb6-9c6f-18b10bdad950
958251eb-5e89-4cb6-9c6f-18b10bdad950
958251eb-5e89-4cb6-9c6f-18b10bdad950
958251eb-5e89-4cb6-9c6f-18b10bdad950
958251eb-5e89-4cb6-9c6f-18b10bdad950


Social Group Memberships



Sighting count: 4

Encounter(s) (not all may be currently visible) & Biological Samples

No biological samples have been added for this individual.



Social Relationships



Co-occurrences



Mapping

No GPS data is available for mapping.


 



Collaborating Researchers

Daniel Kistler

Affiliation: Project Xenios

Web Site: www.os-xenios.com