Marked Individual GM238

: GM238 X
: X
: X

Sex: unknown

X

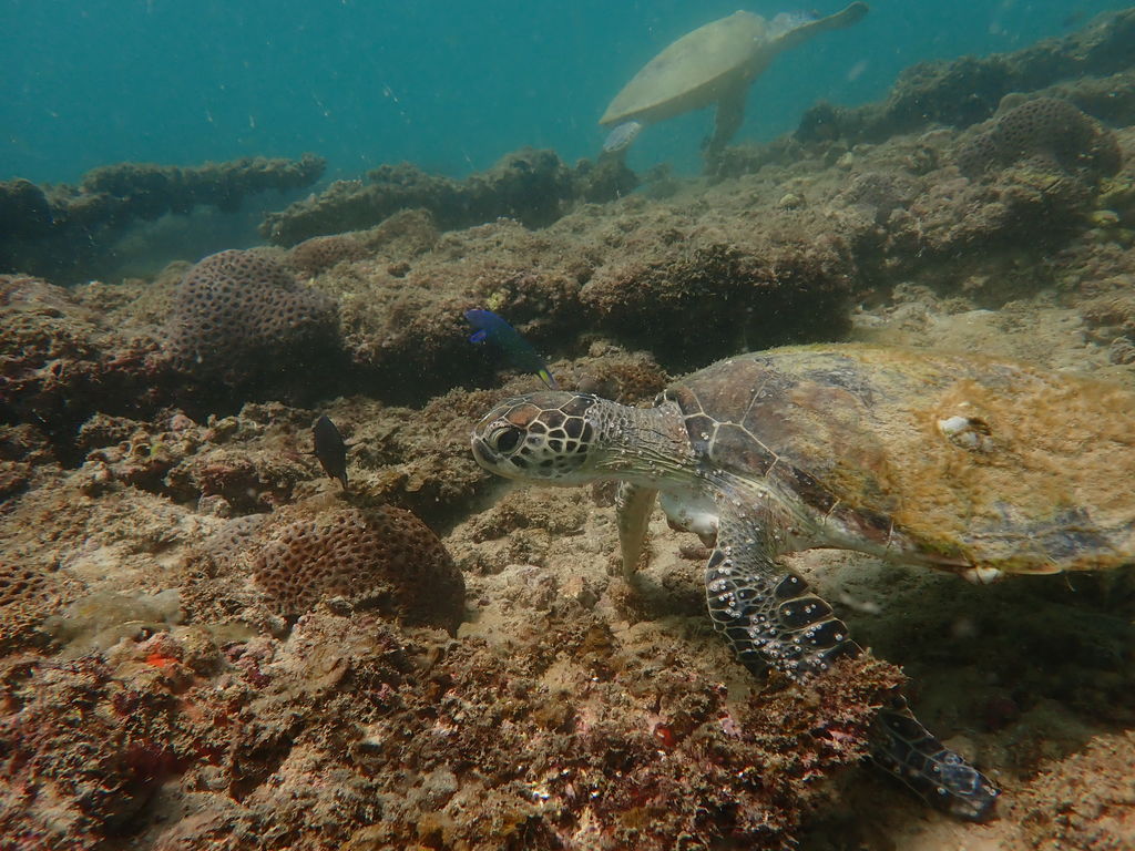
Taxonomy: Chelonia mydas

Date of Birth:

This field takes a date in the ISO 8601 standard format.

Leave blank if unknown.

Date of Death:

This field takes a date in the ISO 8601 standard format.

Leave blank if unknown.

Alternate ID:

734dcc77-1a6a-46e7-ae62-c5dc8fd20997
734dcc77-1a6a-46e7-ae62-c5dc8fd20997
734dcc77-1a6a-46e7-ae62-c5dc8fd20997
734dcc77-1a6a-46e7-ae62-c5dc8fd20997
734dcc77-1a6a-46e7-ae62-c5dc8fd20997


Social Group Memberships



Sighting count: 4

Encounter(s) (not all may be currently visible) & Biological Samples

No biological samples have been added for this individual.



Social Relationships



Co-occurrences



Mapping

No GPS data is available for mapping.


 



Collaborating Researchers

Olive Ridley Project

Affiliation: Olive Ridley Project

Web Site: www.oliveridleyproject.org