G790

: G790 X
: Mass adoption X
: X

Sex: unknown

X

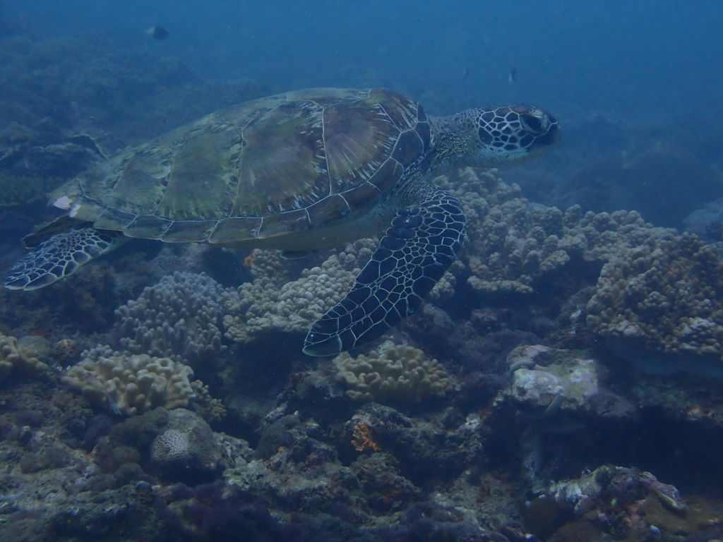
Taxonomy: Chelonia mydas

Date of Birth:

This field takes a date in the ISO 8601 standard format.

Leave blank if unknown.

Date of Death:

This field takes a date in the ISO 8601 standard format.

Leave blank if unknown.

Alternate ID:

56cd0043-3c77-4f71-987d-6dd2dddc98f2
56cd0043-3c77-4f71-987d-6dd2dddc98f2
56cd0043-3c77-4f71-987d-6dd2dddc98f2
56cd0043-3c77-4f71-987d-6dd2dddc98f2
56cd0043-3c77-4f71-987d-6dd2dddc98f2


Social Group Memberships



Sighting count: 12

Encounter(s) (not all may be currently visible) & Biological Samples

No biological samples have been added for this individual.



Social Relationships



Co-occurrences



Mapping

No GPS data is available for mapping.


 



Collaborating Researchers

ORP-Kenya

Affiliation: Olive Ridley Project

Research Project: Kenya

Web Site: ORP-Kenya