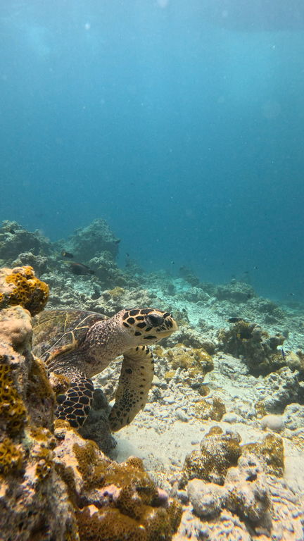
Marked Individual HK5028

: HK5028 X
: X
: X

Sex: female

X

Taxonomy: Eretmochelys imbricata

Date of Birth:

This field takes a date in the ISO 8601 standard format.

Leave blank if unknown.

Date of Death:

This field takes a date in the ISO 8601 standard format.

Leave blank if unknown.

Alternate ID:

0c0cfeba-133a-48e8-b8c2-1470f8c70053
0c0cfeba-133a-48e8-b8c2-1470f8c70053
0c0cfeba-133a-48e8-b8c2-1470f8c70053
0c0cfeba-133a-48e8-b8c2-1470f8c70053
0c0cfeba-133a-48e8-b8c2-1470f8c70053


Social Group Memberships



Sighting count: 47

Encounter(s) (not all may be currently visible) & Biological Samples

No biological samples have been added for this individual.



Social Relationships



Co-occurrences



Mapping

No GPS data is available for mapping.


 



Collaborating Researchers

Olive Ridley Project

Affiliation: Olive Ridley Project

Web Site: www.oliveridleyproject.org

ORP-Raa

Affiliation: Olive Ridley Project

Web Site: ORP-Baa