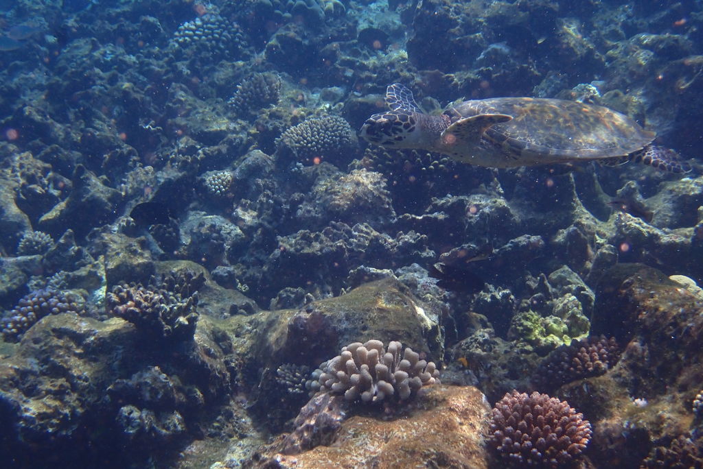
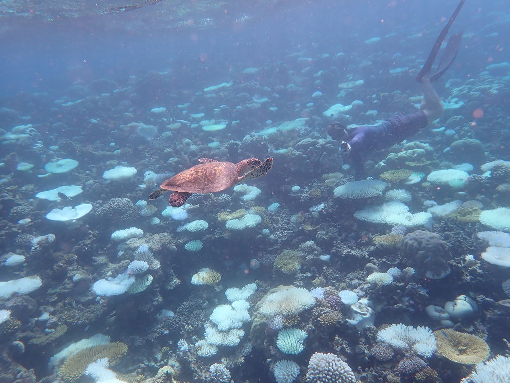
Marked Individual HK5142

: HK5142 X
: X
: X

Sex: unknown

X

Taxonomy: Eretmochelys imbricata

Date of Birth:

This field takes a date in the ISO 8601 standard format.

Leave blank if unknown.

Date of Death:

This field takes a date in the ISO 8601 standard format.

Leave blank if unknown.

Alternate ID:

b4a3a5f2-0f1c-4900-a2e4-84628932ac9f
b4a3a5f2-0f1c-4900-a2e4-84628932ac9f
b4a3a5f2-0f1c-4900-a2e4-84628932ac9f
b4a3a5f2-0f1c-4900-a2e4-84628932ac9f
b4a3a5f2-0f1c-4900-a2e4-84628932ac9f


Social Group Memberships



Sighting count: 84

Encounter(s) (not all may be currently visible) & Biological Samples

No biological samples have been added for this individual.



Social Relationships



Co-occurrences



Mapping

No GPS data is available for mapping.


 



Collaborating Researchers

Olive Ridley Project

Affiliation: Olive Ridley Project

Web Site: www.oliveridleyproject.org