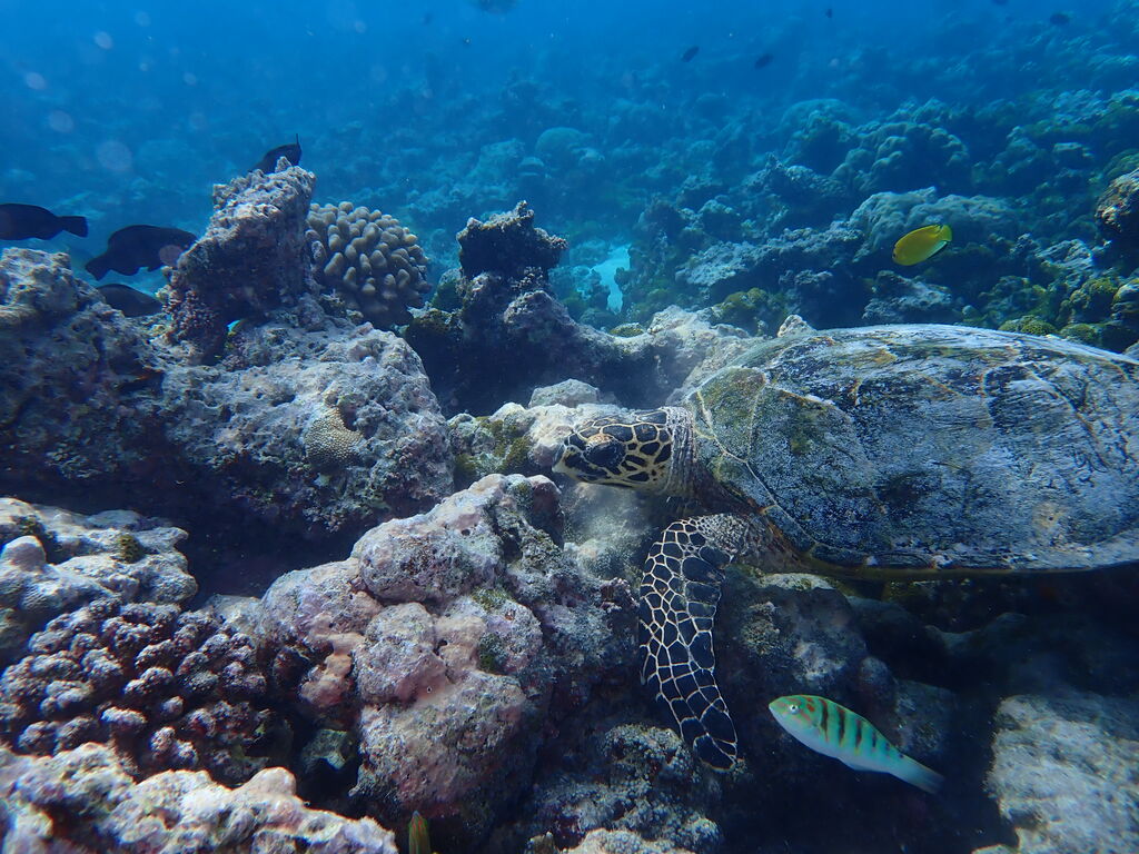
Marked Individual HK4993

: HK4993 X
: X
: X

Sex: unknown

X

Taxonomy: Eretmochelys imbricata

Date of Birth:

This field takes a date in the ISO 8601 standard format.

Leave blank if unknown.

Date of Death:

This field takes a date in the ISO 8601 standard format.

Leave blank if unknown.

Alternate ID:

05761fed-f262-42b4-882c-02be754c9d0e
05761fed-f262-42b4-882c-02be754c9d0e
05761fed-f262-42b4-882c-02be754c9d0e
05761fed-f262-42b4-882c-02be754c9d0e
05761fed-f262-42b4-882c-02be754c9d0e


Social Group Memberships



Sighting count: 43

Encounter(s) (not all may be currently visible) & Biological Samples

No biological samples have been added for this individual.



Social Relationships



Co-occurrences



Mapping

No GPS data is available for mapping.


 



Collaborating Researchers

Olive Ridley Project

Affiliation: Olive Ridley Project

Web Site: www.oliveridleyproject.org

ORP-Raa

Affiliation: Olive Ridley Project

Web Site: ORP-Baa